COUNCIL SPONSOR: Impastato/Billiot PREPARED BY: COUNCIL OFFICE
INTRODUCED BY MR. BILLIOT SECONDED BY MR. BURKHALTER
ON THE 28TH DAY OF APRIL 2004
THE PARISH OF ST. TAMMANY HEREBY ORDAINS that it imposes a six-month
moratorium on the issuance of permits for construction or placement of building structures on certain
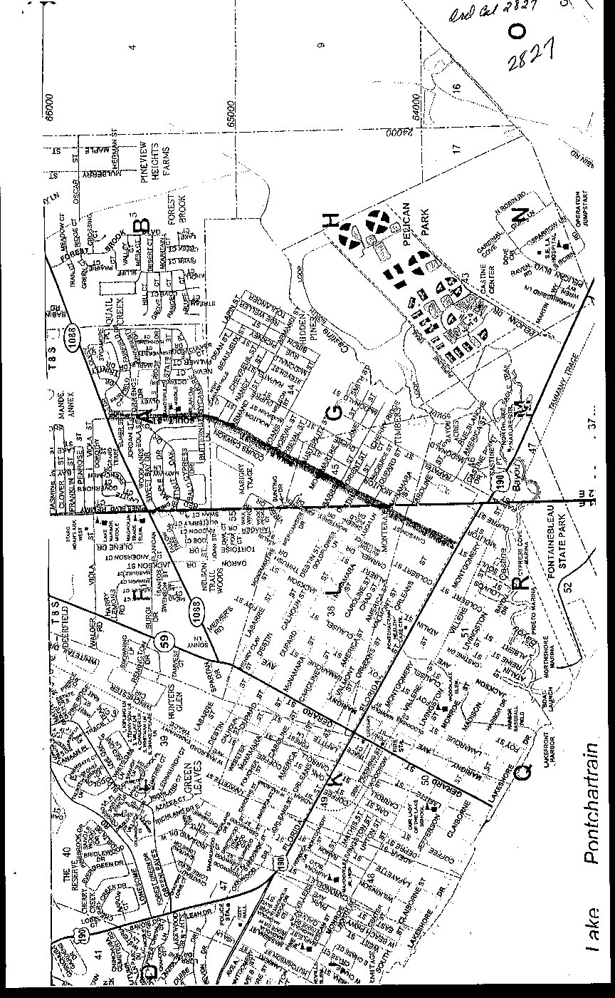
property within unincorporated St. Tammany Parish abutting, in whole or in part, Soult Street
between Highway 190 and Highway 1088, Ward 4, Districts 7 and 10, described as follows:
All properties within unincorporated St. Tammany Parish which abuts, in whole or in
part, Soult Street between Highway 190 and Highway 1088, and which use Soult Street
for purposes of gaining access to said properties, as more fully indicated on the vicinity
map attached hereto.
BE IT FURTHER ORDAINED that the moratorium imposed may be vacated, in whole or in
part, by Resolution of this governing body pursuant to Chapter 5, Article II, Section 5-056.00 of the
Parish Code of Ordinances.
REPEAL: All Ordinances or parts of Ordinances in conflict herewith are hereby repealed.
SEVERABILITY: If any provision of this Ordinance shall be held to be invalid, such invalidity
shall not affect other provisions herein which can be given effect without the invalid provision and to
this end the provisions of this Ordinance are hereby declared to be severable.
WHEREUPON THIS ORDINANCE WAS SUBMITTED TO A VOTE AND RESULTED IN
THE FOLLOWING:
MOVED FOR ADOPTION BY: , SECONDED BY:
YEAS:
NAYS:
ABSTAIN:
ABSENT:
ORDINANCE COUNCIL SERIES NO. 04-
PAGE 2 OF 2
THIS ORDINANCE WAS DECLARED DULY ADOPTED AT A REGULAR MEETING OF
THE PARISH COUNCIL ON THE DAY OF , 2004; AND BECOMES
ORDINANCE COUNCIL SERIES NO. 04- .
PATRICIA BRISTER, COUNCIL CHAIRMAN
ATTEST:
DIANE HUESCHEN, COUNCIL CLERK
_____________________________________
KEVIN DAVIS, PARISH PRESIDENT
Published adoption on: , 2004
Delivered to Parish President: , 2004 @
Returned to Council Clerk: , 2004 @
