ORDINANCE CALENDAR NO. 2841 ORDINANCE COUNCIL SERIES NO.
WHEREAS, there is a need and purpose to purchase the Property in order to provide flood
protection to the residents of the area by relocating a lateral canal of Bayou Castine; and
WHEREAS, the purchase of said property will also provide protection to the immediate
watershed area which will further enhance Parish drainage and assist in further enhancement of the
area infrastructure; and
THE PARISH OF ST. TAMMANY HEREBY RESOLVES to authorize the Parish of St.
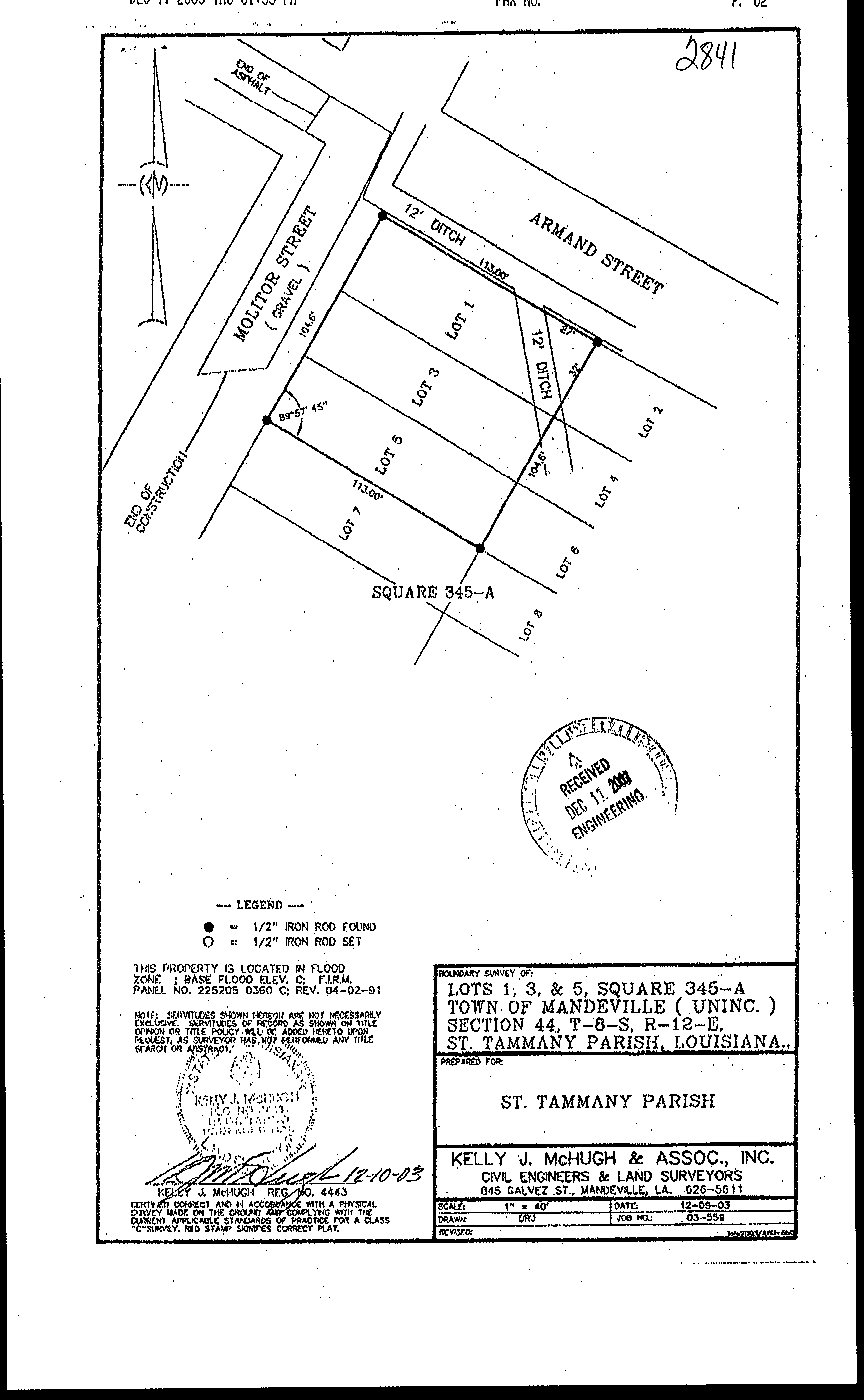
Tammany to purchase all that certain parcel of land described as Lots 1, 3 and 5 in Square 345A,
Town of Mandeville, Section 44, Township 8 South, Range 12 East, St. Tammany Parish. (As shown
in survey attached hereinbelow.)
That pursuant to all applicable provisions of law, the Office of the Parish President is directed
and authorized to do whatever is necessary to purchase the Property; and
That the Office of the Parish President is authorized and instructed to proceed with the
That the Office of the Parish President is authorized to exercise its discretion in purchasing
this property, together with all agreements and all transactions necessary to carry out the intent of
this Ordinance; and
That the Office of the Parish President shall expend Twenty-Five Thousand and No/100
Dollars ($25,000.00) for the purchase of said property.
SEVERABILITY: If any provision of this Ordinance shall be held to be invalid, such
invalidity shall not affect other provisions herein which can be given effect without the invalid
provision and to this end the provisions of this Ordinance are hereby declared to be severable.
EFFECTIVE DATE: This Ordinance shall become effective immediately or as per law,
which ever is earlier.
WHEREUPON THIS ORDINANCE WAS SUBMITTED TO A VOTE AND RESULTED
IN THE FOLLOWING:
YEAS:
NAYS:
ABSTAIN:
ABSENT:
THIS ORDINANCE WAS DECLARED ADOPTED AT A REGULAR MEETING OF THE
PARISH COUNCIL ON THE DAY OF 2004; AND BECOMES
ORDINANCE COUNCIL SERIES NO. 04- .
PAT BRISTER, COUNCIL CHAIRMAN
Published introduction: , 2004
Delivered to Parish President: , 2004 @
COUNCIL SPONSOR Brister/President PROVIDED BY: President
INTRODUCED BY: MR. STEFANCIK SECONDED BY: MR. THOMPSON
ON THE 6TH DAY OF MAY , 2004
WHEREAS, the Parish of St. Tammany wishes to purchase Lots 1, 3 and 5 in Square 345A,
Town of Mandeville, Section 44, Township 8 South, Range 12 East, St. Tammany parish
(hereinafter referred to as Property); and
WHEREAS, the Parish of St. Tammany hereby desires to purchase the Property and
authorizes the Office of the Parish President to do whatever is necessary to enter into negotiations
and purchase said property.
purchase of the Property in a timely and orderly matter.
REPEAL: All Ordinances or parts of Ordinances in conflict herewith are hereby repealed.
ORDINANCE CALENDAR NUMBER: 2841
ORDINANCE COUNCIL SERIES NO. 04-
PAGE 2 OF 2
MOVED FOR ADOPTION BY: , SECONDED BY:
ATTEST:
DIANE HUESCHEN, COUNCIL CLERK
KEVIN DAVIS, PARISH PRESIDENT
Published adoption on: , 2004
Returned to Council Clerk: , 2004 @
