Link to original Document here

ST. TAMMANY PARISH COUNCIL

ORDINANCE

                                    

ORDINANCE CALENDAR NO. 2853     ORDINANCE COUNCIL SERIES NO.
COUNCIL SPONSOR MR. GOULD     PROVIDED BY: PRESIDENT
INTRODUCED BY: MR. GOULD     SECONDED BY: MR. THOMPSON

ON THE 6TH DAY OF MAY , 2004


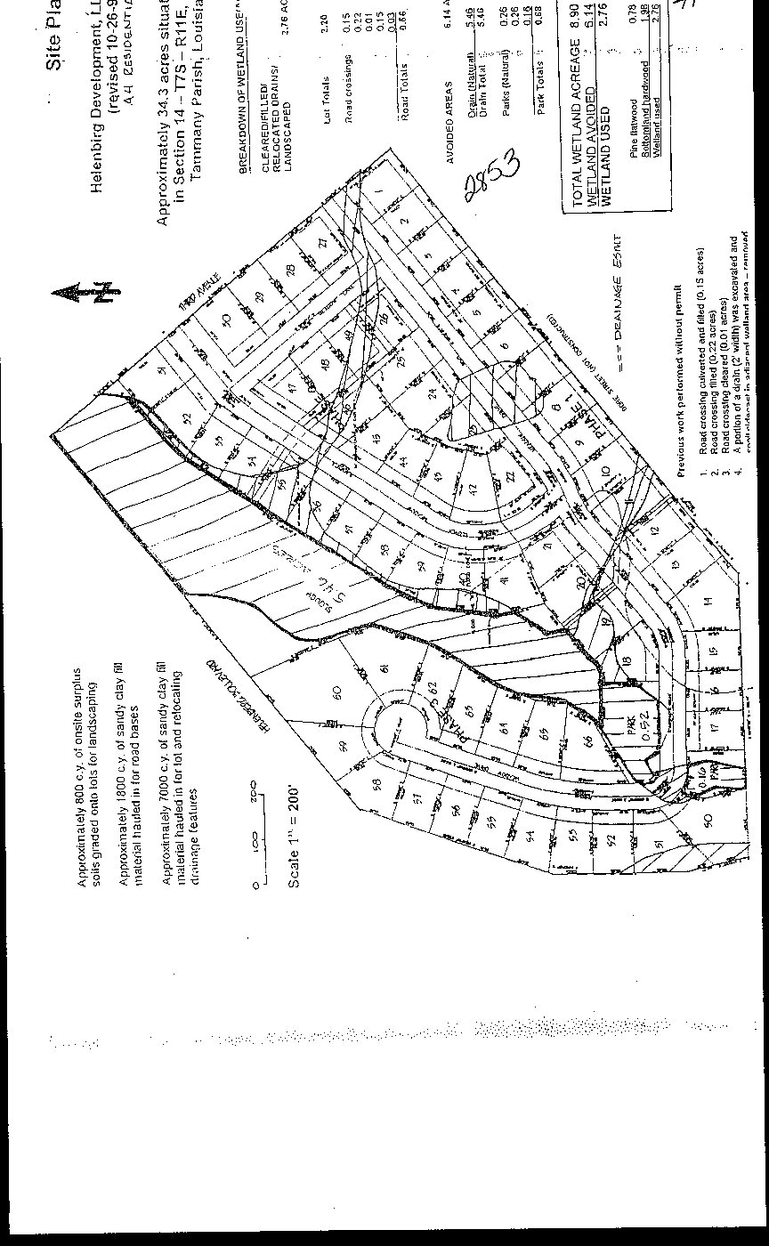
        ORDINANCE TO AUTHORIZE THE PARISH OF ST. TAMMANY, THROUGH THE OFFICE OF THE PARISH PRESIDENT, TO ACCEPT DONATION OF A 5.6836 ACRE SLOUGH IN COVINGTON MEADOWS (AS DESCRIBED IN EXHIBIT “1” ATTACHED HEREINBELOW.)


    WHEREAS, the St. Tammany Parish Government is charged with protecting the safety and welfare of the citizens of the parish; and

    WHEREAS, there is a need and purpose to accept the donation of this parcel of land in order to provide flood protection to the residents of the area; and

    WHEREAS, it is the desire of St. Tammany Parish Government to accept the donation of such parcel of land that has been donated to the Parish by Rockhurst Interests, L.L.C., and


    THE PARISH OF ST. TAMMANY HEREBY ORDAINS that it authorizes the Parish of St. Tammany, through the Office of the Parish President, to accept donation of a 5.6836 acre slough in Covington Meadows (As described in Exhibit “1” attached hereinbelow.)


    REPEAL: All Ordinances or parts of Ordinances in conflict herewith are hereby repealed.

    SEVERABILITY: If any provision of this Ordinance shall be held to be invalid, such invalidity shall not affect other provisions herein which can be given effect without the invalid provision and to this end the provisions of this Ordinance are hereby declared to be severable.
    
    EFFECTIVE DATE: This Ordinance shall become effective fifteen (15) days after adoption.

    
MOVED FOR ADOPTION BY: , SECONDED BY:

    WHEREUPON THIS ORDINANCE WAS SUBMITTED TO A VOTE AND RESULTED IN THE FOLLOWING:

YEAS:     

NAYS:     

ABSTAIN:     

ABSENT:


                        ORDINANCE CALENDAR NUMBER: 2853

                        ORDINANCE COUNCIL SERIES NO. 04-                     
                        PAGE 2 OF 2

    THIS ORDINANCE WAS DECLARED ADOPTED AT A REGULAR MEETING OF THE PARISH COUNCIL ON THE DAY OF 2004; AND BECOMES ORDINANCE COUNCIL SERIES NO. 04- .

                                         PAT BRISTER, COUNCIL CHAIRMAN

ATTEST:


DIANE HUESCHEN, COUNCIL CLERK

                                
                                    
                                    KEVIN DAVIS, PARISH PRESIDENT


Published introduction: , 2004
Published adoption on: , 2004

Delivered to Parish President: , 2004 @
Returned to Council Clerk: , 2004 @