ORDINANCE CALENDAR NO. 2860 ORDINANCE COUNCIL SERIES NO.
COUNCIL SPONSOR BRISTER/PRESIDENT PROVIDED BY: PLANNING
INTRODUCED BY: SECONDED BY:
ON THE DAY OF , 2004
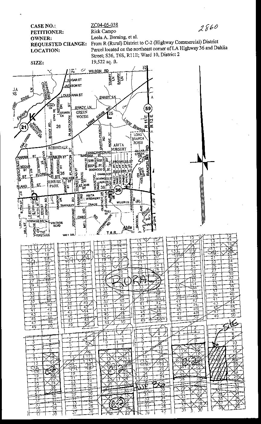
An Ordinance amending the official zoning map of St. Tammany
Parish, La, to reclassify a certain parcel located on the northeast
corner of LA Highway 36 and Dahlia Street and which property
comprises a total of 19,522 sq. ft. of land more or less, from its
present R (Rural) District to a C-2 (Highway Commercial) District,
Ward 10, District 2. (ZC04-05-038)
Whereas, the Zoning Commission of the Parish of St. Tammany after hearing in
accordance with law, Case No. ZC04-05-038, has recommended to the Council of the Parish of
St. Tammany, Louisiana, that the zoning classification of the above referenced area be changed
from its present R (Rural) District to a C-2 (Highway Commercial) District (see Exhibit "A") for
complete boundaries.
Whereas, the St. Tammany Parish Council has held its public hearing in accordance with
law:
Whereas, the St. Tammany Parish Council has found it necessary for the purpose of
protecting the public health, safety and general welfare, to designate the above described property
as C-2 (Highway Commercial) District.
THE PARISH OF ST. TAMMANY HEREBY ORDAINS, in regular session convened
that:
SECTION I: The zoning classification of the above described property is hereby changed
from its present R (Rural) District to a C-2 (Highway Commercial) District.
SECTION II: The official zoning map of the Parish of St. Tammany shall be and is
hereby amended to incorporate the zoning reclassification specified in Section I hereof.
REPEAL: All Ordinances or parts of Ordinances in conflict herewith are hereby
repealed.
SEVERABILITY: If any provision of this Ordinance shall be held to be invalid, such
invalidity shall not affect other provisions herein which can be given effect without the invalid
provision and to this end the provisions of this Ordinance are hereby declared to be severable.
EFFECTIVE DATE: This Ordinance shall become effective fifteen (15) days after
adoption.
MOVED FOR ADOPTION BY: , SECONDED BY:
WHEREUPON THIS ORDINANCE WAS SUBMITTED TO A VOTE AND
RESULTED IN THE FOLLOWING:
YEAS:
NAYS:
ABSTAIN:
ABSENT:
THIS ORDINANCE WAS DECLARED DULY ADOPTED AT A REGULAR
MEETING OF THE PARISH COUNCIL ON THE DAY OF , 2004; AND
BECOMES ORDINANCE COUNCIL SERIES NO. 04- .
DIANE HUESCHEN, COUNCIL CLERK
Published Introduction: , 2004
Published Adoption: , 2004
Delivered to Parish President: , 2004 at
Returned to Council Clerk: , 2004 at


