COUNCIL SPONSOR MR. THOMAS PROVIDED BY COUNCIL OFFICE
RESOLUTION TO CONCUR WITH THE CITY OF SLIDELL REZONING
OF 2.02 ACRES OF LAND, MORE OR LESS, FROM CITY A-7 MULTI-
FAMILY URBAN DISTRICT TO CITY C-2 NEIGHBORHOOD
COMMERCIAL DISTRICT, WHICH PROPERTY IS LOCATED AT THE
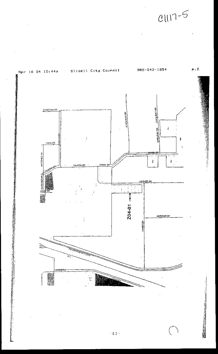
NORTHWEST CORNER OF HOOVER DRIVE AND LAWES STREET IN
SECTION 12, TOWNSHIP 9 SOUTH, RANGE 14 EAST.
(WARD 8, DISTRICT 13)
WHEREAS, in 1999 and with the St. Tammany Parish Police Jury concurrence, the City of Slidell
annexed a 2.02 acre piece of property located at the northwest corner of Hoover Drive and Lawes Street in
Ward 8, District 13 and rezoned it from Parish A-4 Single Family Residential District to City of Slidell A-7
Multi-Family Urban District; and
WHEREAS, said annexation and rezoning was approved in accordance with Resolution P.J.S. No.
88-3636 As Amended providing for the annexation of property within St. Tammany Parish Sales Tax District
No. 3; and
WHEREAS, more recently, the Slidell City Council received a petition from the property owner to
rezone said property from City A-7 Multi-Family Urban District to City C-2 Neighborhood Commercial
District; and
WHEREAS, the Slidell City Council has approved the rezoning of said property subject to the
concurrence of the St. Tammany Parish Council.
THE PARISH OF ST. TAMMANY HEREBY RESOLVES to concur with the City of Slidell rezoning
of 2.02 acres of land, more or less, from City A-7 Multi-Family Urban District to City C-2 Neighborhood
Commercial District, which property is located within the City limits of Slidell and at the northwest corner
of Hoover Drive and Lawes Street in Section 12, Township 9 South, Range 14 East. (Ward 8, District 13)
THIS RESOLUTION HAVING BEEN SUBMITTED TO A VOTE, THE VOTE THEREON WAS
AS FOLLOWS:
MOVED FOR ADOPTION BY , SECONDED BY
YEAS:
NAYS:
ABSTAIN:
ABSENT:
THIS RESOLUTION WAS DECLARED ADOPTED ON THE DAY OF 2004,
AT A REGULAR MEETING OF THE PARISH COUNCIL, A QUORUM OF THE MEMBERS BEING
PRESENT AND VOTING.
PATRICIA BRISTER, COUNCIL CHAIRMAN
ATTEST:
DIANE HUESCHEN, COUNCIL CLERK







