RESOLUTION
COUNCIL SPONSOR: BRISTER/PRESIDENT PROVIDED BY: PLANNING
WHEREAS, the property requires rezoning from Parish C-2 Highway Commercial District to City of
Slidell C-4 Highway Commercial District which is not an intensification of zoning, and
WHEREAS, the property is developed and the proposed annexation would/would not result in a split
of the sales tax revenues as per the Sales Tax Enhancement Plan, Resolution P. J. S. No. 88-3636 As Amended
and Adopted by the Police Jury on July 21, 1988 providing for the annexation of property in Sales Tax District
# 3.
THE PARISH OF ST. TAMMANY HEREBY RESOLVES that it does/does not concur with the City
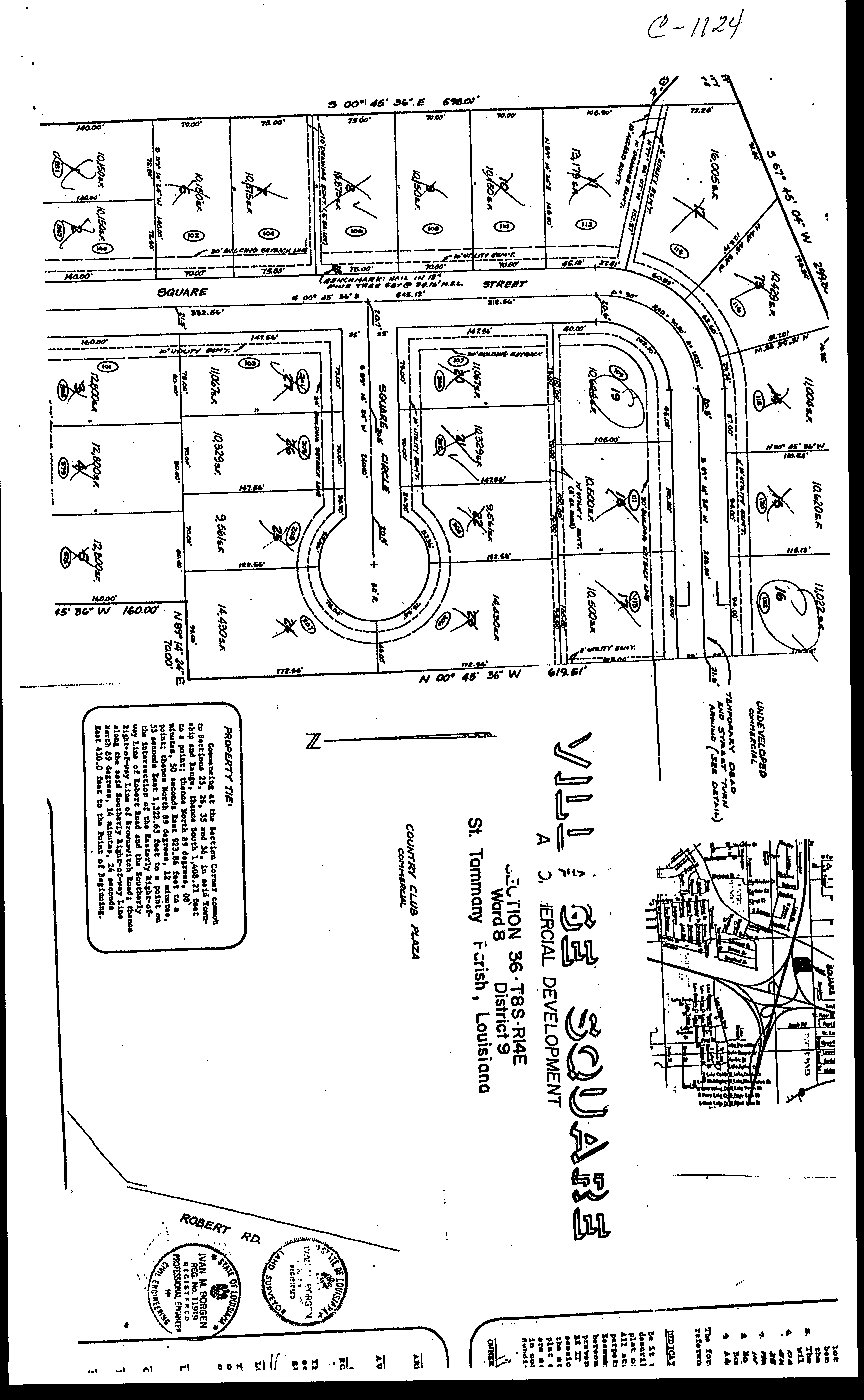
of Slidell to annex and rezone 6.512 acres of land more or less, located in District 9 from Parish C-2 Highway
Commercial District to City of Slidell C-4 Highway Commercial District in accordance with Resolution P. J.
Series No. 88-3636 As Amended.
THIS RESOLUTION HAVING BEEN SUBMITTED TO A VOTE, THE VOTE THEREON WAS AS
FOLLOWS:
MOVED FOR ADOPTION BY , SECONDED BY ________________________
YEAS:
NAYS:
ABSTAIN:
ABSENT:
THIS RESOLUTION WAS DECLARED ADOPTED ON THE DAY OF , 2004,
AT A REGULAR MEETING OF THE PARISH COUNCIL, A QUORUM OF THE MEMBERS BEING
PRESENT AND VOTING.
___________________________________
PATRICIA BRISTER, COUNCIL CHAIRMAN
ATTEST:
______________________________
DIANE HUESCHEN, CLERK OF COUNCIL
(Ref. no. SL2004-03)


