ORDINANCE CALENDAR NO.          2774              ORDINANCE COUNCIL SERIES NO.       04-       
 
  
        An Ordinance amending the official zoning map of St. Tammany Parish,
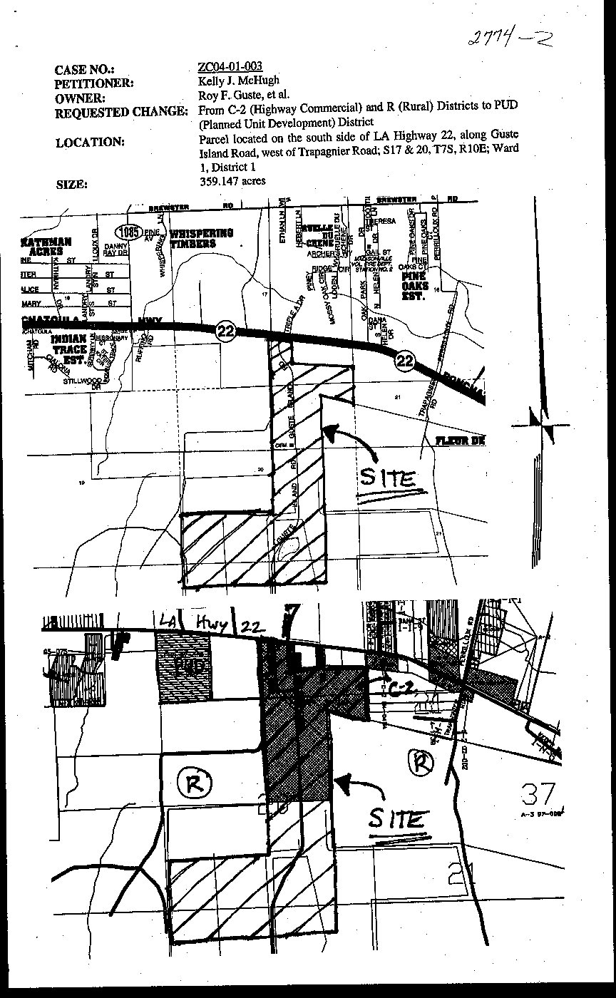
La, to reclassify a certain parcel located west of Trapagnier Road, on the
south side of LA Highway 22 and which property comprises a total of
359.147 acres of land more or less, from its present C-2 (Highway
Commercial) and R (Rural) Districts to a PUD (Planned Unit
Development) District,  Ward 1,  District 1. (ZC04-01-003) 
    Whereas, the St. Tammany Parish Council has held its public hearing in accordance with law:  
    Whereas, the St. Tammany Parish Council has found it necessary for the purpose of protecting
the public health, safety and general welfare, to designate the above described property as PUD (Planned
Unit Development) District. 
    THE PARISH OF ST. TAMMANY HEREBY ORDAINS, in regular session convened that: 
    SECTION II:  The official zoning map of the Parish of St. Tammany shall be and is hereby
amended to incorporate the zoning reclassification specified in Section I hereof. 
    REPEAL:  All Ordinances or parts of Ordinances in conflict herewith are hereby repealed. 
    EFFECTIVE DATE: This Ordinance shall become effective fifteen (15) days after adoption. 
MOVED FOR ADOPTION BY:                                  , SECONDED BY:                                     
    WHEREUPON THIS ORDINANCE WAS SUBMITTED TO A VOTE AND RESULTED IN
THE FOLLOWING: 
YEAS:      
NAYS:      
ABSTAIN:      
ABSENT:      
 
 
 
 
    THIS ORDINANCE WAS DECLARED DULY ADOPTED AT A REGULAR MEETING OF
THE PARISH COUNCIL ON THE           DAY OF                         , 2004;  AND BECOMES
ORDINANCE COUNCIL SERIES NO. 04-       . 
                                                                     
 
 
 
Published Introduction:                                  , 2004 
Published Adoption:                                        , 2004 
Delivered to Parish President:                                       , 2004 at                      
Returned to Council Clerk:                                             , 2004 at                                     
COUNCIL SPONSOR     BRISTER/PRESIDENT     PROVIDED BY:    PLANNING                               
INTRODUCED BY:       MR. STEFANCIK        SECONDED BY:    MR. BAGERT
ON THE      5TH           DAY OF    FEBRUARY     , 2004
    Whereas, the Zoning Commission of the Parish of St. Tammany after hearing in accordance with
law,  Case No. ZC04-01-003, has recommended to the Council of the Parish of St. Tammany, Louisiana,
that the zoning classification of the above referenced area be changed from its present C-2 (Highway
Commercial) and R (Rural) Districts to a PUD (Planned Unit Development) District (see Exhibit "A")
for complete boundaries.
    SECTION I:  The zoning classification of the above described property is hereby changed from
its present C-2 (Highway Commercial) and R (Rural) Districts to a PUD (Planned Unit Development)
District.
    SEVERABILITY:  If any provision of this Ordinance shall be held to be invalid, such invalidity
shall not affect other provisions herein which can be given effect without the invalid provision and to
this end the provisions of this Ordinance are hereby declared to be severable.
            ORDINANCE COUNCIL SERIES NO.    04-           
    PAGE          2           OF           2                
_______________________________________ 
PATRICIA BRISTER,  COUNCIL CHAIRMAN
ATTEST:
DIANE HUESCHEN, COUNCIL CLERK
                KEVIN DAVIS, PARISH PRESIDENT
  





