ORDINANCE CALENDAR NO. 2840 ORDINANCE COUNCIL SERIES NO.
WHEREAS, it is the desire of St. Tammany Parish Government to accept the donation of
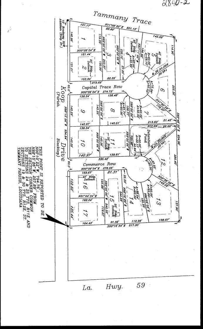
a parcel of land (parcel described in Exhibit 1) that has been donated to the Parish by J. Ernest
Prieto, Joan Prieto Doolittle, Golden Enterprises, L.L.C. and the Calla Prieto Trust, and
WHEREAS, the property may be used for possible, future expansion of Koop Drive.
THE PARISH OF ST. TAMMANY HEREBY ORDAINS that it authorizes the Parish of
St. Tammany, through the Office of the Parish President, to accept donation of a 10 foot strip of
land located north of Koop Drive (As described in exhibit 1 attached hereinbelow.)
MOVED FOR ADOPTION BY: , SECONDED BY:
WHEREUPON THIS ORDINANCE WAS SUBMITTED TO A VOTE AND
RESULTED IN THE FOLLOWING:
YEAS:
NAYS:
ABSTAIN:
ABSENT:
THIS ORDINANCE WAS DECLARED ADOPTED AT A REGULAR MEETING OF
THE PARISH COUNCIL ON THE DAY OF 2004; AND BECOMES
ORDINANCE COUNCIL SERIES NO. 04- .
PAT BRISTER, COUNCIL CHAIRMAN
Published introduction: , 2004
Delivered to Parish President: , 2004 @
COUNCIL SPONSOR Brister/President PROVIDED BY: President
INTRODUCED BY: SECONDED BY:
ON THE DAY OF , 2004
WHEREAS, the St. Tammany Parish Government is charged with protecting the traffic
safety and welfare of the citizens of the parish; and
REPEAL: All Ordinances or parts of Ordinances in conflict herewith are hereby
repealed.
SEVERABILITY: If any provision of this Ordinance shall be held to be invalid, such
invalidity shall not affect other provisions herein which can be given effect without the invalid
provision and to this end the provisions of this Ordinance are hereby declared to be severable.
EFFECTIVE DATE: This Ordinance shall become effective fifteen (15) days after
adoption.
ORDINANCE CALENDAR NUMBER: 2840
ORDINANCE COUNCIL SERIES NO. 04-
PAGE 2 OF 2
ATTEST:
DIANE HUESCHEN, COUNCIL CLERK
KEVIN DAVIS, PARISH PRESIDENT
Published adoption on: , 2004
Returned to Council Clerk: , 2004 @
