RESOLUTION
COUNCIL SPONSOR: Brister/President PROVIDED BY: Planning
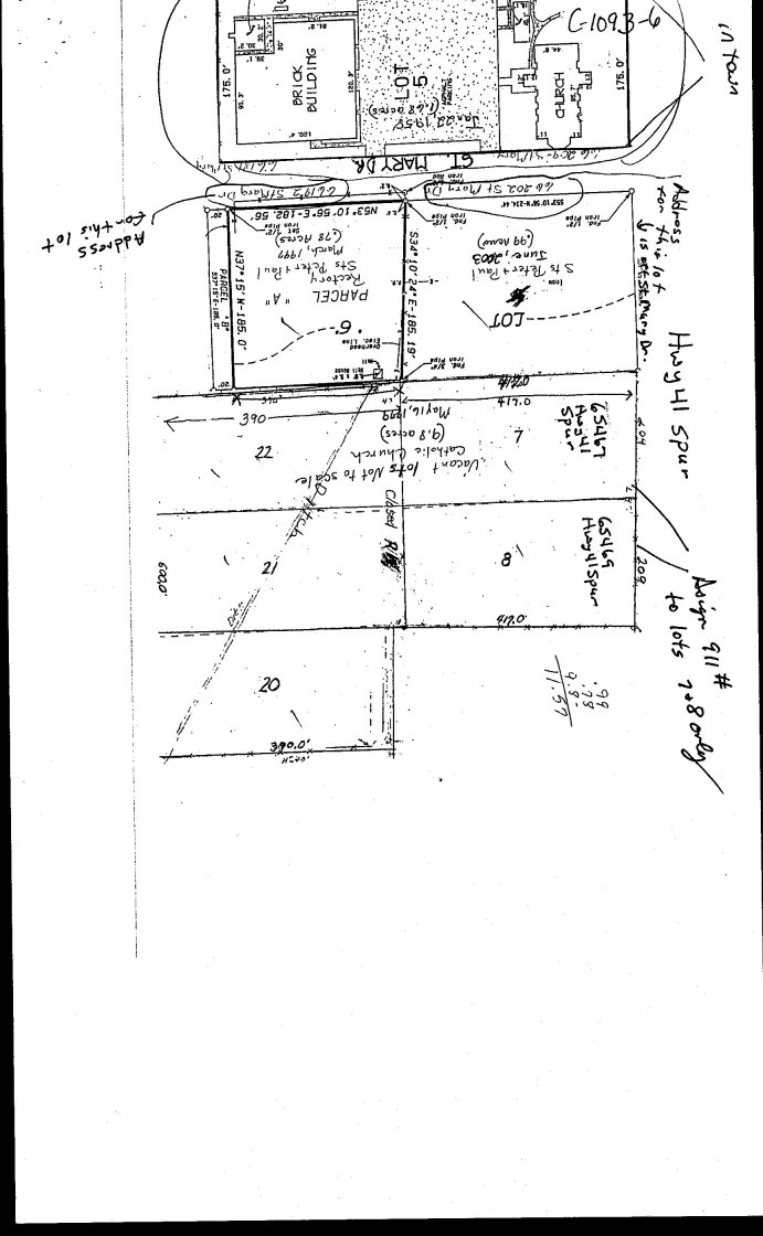
Resolution to concur/ not concur with the Town of Pearl River annexation and
rezoning of 11.57 acres of land more or less from Parish Rural District to City
of Pearl River R-1 District which property is located at Sts. Peter & Paul
Catholic Church being 66192 St. Mary Drive, Pearl River, LA 70452 in S48,
T8S, R14E, Ward 8, District 6.
WHEREAS, the Town of Pearl River is contemplating Annexation of 11.57 acres of land more or less
owned by Archdiocese of New Orleans, located at Sts. Peter & Paul Catholic Church being 66192 St. Mary
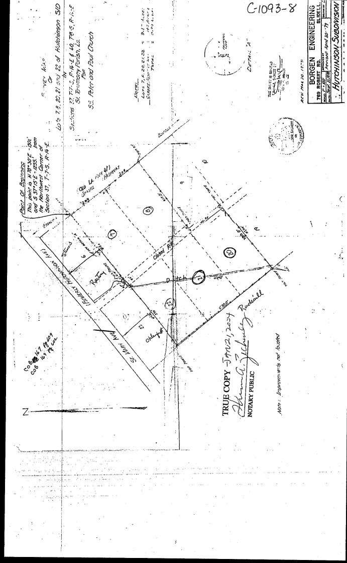
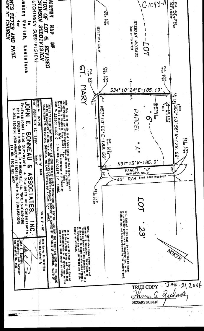
Drive, Pearl River, LA 70452, being part of Henderson Lots 7,8, 20-22, S48, T8S, R14E, Ward 8, District 6
(see attachments for complete description), and
WHEREAS, the property requires rezoning from Parish Rural District to Town of Pearl River R-1
District which is not an intensification of zoning, and
WHEREAS, the property is developed and the proposed annexation would/would not result in a split
of the sales tax revenues as per the Sales Tax Enhancement Plan, Resolution P. J. S. No. 88-3636 As
Amended and Adopted by the Police Jury on July 21, 1988 providing for the annexation of property in Sales
Tax District # 3.
THE PARISH OF ST. TAMMANY HEREBY RESOLVES that it does/does not concur with the Town
of Pearl River to annex and rezone 11.57 acres of land more or less, located in District 6 from Parish Rural
District to Town of Pearl River R-1 District in accordance with Resolution P. J. Series No. 88-3636 As
Amended.
THIS RESOLUTION HAVING BEEN SUBMITTED TO A VOTE, THE VOTE THEREON WAS AS
FOLLOWS:
MOVED FOR ADOPTION BY , SECONDED BY ________________________
YEAS:
NAYS:
ABSTAIN:
ABSENT:
THIS RESOLUTION WAS DECLARED ADOPTED ON THE DAY OF , 2004,
AT A REGULAR MEETING OF THE PARISH COUNCIL, A QUORUM OF THE MEMBERS BEING PRESENT
AND VOTING.
___________________________________
PATRICIA BRISTER, COUNCIL CHAIRMAN
ATTEST:
______________________________
DIANE HUESCHEN, CLERK OF COUNCIL
(Ref. no. PR2004-01)










