RESOLUTION
COUNCIL SPONSOR: BRISTER/PRESIDENT PROVIDED BY: PLANNING
WHEREAS, the property requires rezoning from Parish SA Suburban Agriculture District to City of
Slidell A-6 Single Family Residential District which is not an intensification of zoning, and
WHEREAS, the property is not developed and the proposed annexation would/would not result in a
split of the sales tax revenues as per the Sales Tax Enhancement Plan, Resolution P. J. S. No. 88-3636 As
Amended and Adopted by the Police Jury on July 21, 1988 providing for the annexation of property in Sales
Tax District # 3.
THE PARISH OF ST. TAMMANY HEREBY RESOLVES that it does/does not concur with the City
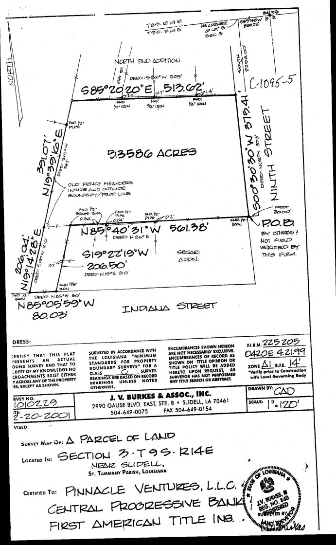
of Slidell to annex and rezone 5.36 acres of land more or less, located in District 14 from Parish SA Suburban
Agriculture District to City of Slidell A-6 Single Family Residential District in accordance with Resolution
P. J. Series No. 88-3636 As Amended.
THIS RESOLUTION HAVING BEEN SUBMITTED TO A VOTE, THE VOTE THEREON WAS AS
FOLLOWS:
MOVED FOR ADOPTION BY , SECONDED BY ________________________
YEAS:
NAYS:
ABSTAIN:
ABSENT:
THIS RESOLUTION WAS DECLARED ADOPTED ON THE DAY OF , 2003,
AT A REGULAR MEETING OF THE PARISH COUNCIL, A QUORUM OF THE MEMBERS BEING
PRESENT AND VOTING.
___________________________________
PATRICIA BRISTER, COUNCIL CHAIRMAN
ATTEST:
______________________________
DIANE HUESCHEN, CLERK OF COUNCIL
(SL2004-01)




